Baugebiet Sievern - Am Sohlacker
26 Bauplätze (EinFAMILIEN- UND DOPPELHÄUSER)
Sievern ist eine kleine Ortschaft in der Stadt Geestland im niedersächsischen Landkreis Cuxhaven. Auf einer Fläche von 16,31qkm leben hier ca. 1630 Menschen (Stand Juni 2017).
Der Ort verfügt über eine gute Verkehrsanbindung und liegt in der Nähe der Autobahn A27. Dadurch sind die Städte Bremerhaven und Cuxhaven in ca. 20 Minuten und die Stadt Bremen in ca. 45 Minuten mit dem Auto zu erreichen. Außerdem ist Sievern an den öffentlichen Nahverkehr angebunden, sodass regelmäßig Busse nach Langen und Bremerhaven sowie nach Midlum und Neuenwalde fahren.
Im Ort gibt es einen modernen Kindergarten und für die älteren Kinder eine Grundschule im Nachbarort in Neuenwalde. Für die Freizeitaktivitäten gibt es eine Halle, Fußballplätze, eine Tennisanlage und ein Beachvolleyballfeld. Außerdem lädt der Sieverner See zum Entspannen an heißen Tagen ein.
Aktueller Hinweis:
Die Erschließungsarbeiten in Sievern sind abgeschlossen. Die Baufreigabe durch die Stadt Geestland ist erfolgt. Der Weg ist frei für die private Bebauung.
Die Nachfrage nach Baugrundstücken im Baugebiet Sievern war sehr hoch, sodass nur noch vereinzelnd Grundstücke zur Verfügung stehen. Grundstücke können unter Umständen durch Rücktritte wieder frei werden. Bei Interesse nehmen wir Sie auch gerne auf die Warteliste für die bereits reservierten Grundstücke auf.
Übersicht
Um eine datensparsame Verarbeitung zu gewährleisten, zeigen wir Ihnen hier lediglich ein Vorschaubild an. Wenn Sie die Karte sehen möchten, akzeptieren Sie bitte die Cookies „Externe Medien“ über unser Cookiebanner. Weitere Informationen erhalten Sie in unserer Datenschutzerklärung.
Übersicht
Das Baugebiet
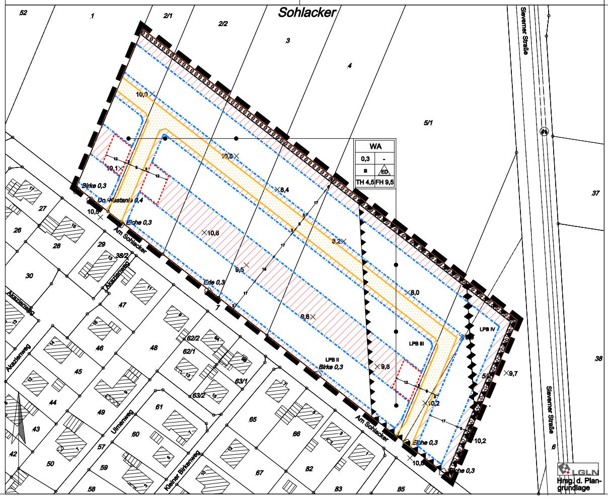
Bebauungsplan und Anlagen
- 6-b-plan-sievern-am-sohlacker.pdf (1,3 MiB)
- 7-planzeichnung-b-plan.jpg (283,6 KiB)
- 8-planzeichenerklaerung-b-plan.jpg (64,3 KiB)
- 9-1-textl-festsetzungen-teil-1.jpg (237,3 KiB)
- 9-2-textl-festsetzungen-teil-2.jpg (221,3 KiB)
- 10-oertliche-bauvorschrift.jpg (217,4 KiB)
- 11-sievern-begruendung-baugebiet.pdf (1,6 MiB)
- 12-bodenprobe-baugebiet-sievern.pdf (1,6 MiB)